56 280 Kč / měs.+ DPH + energie a služby, kauce dohodou, provize RK 1x nájemPronájem
Hradec Králové, Československé armády
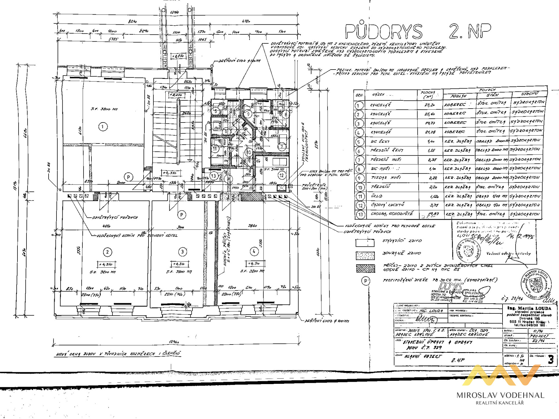
Nabízíme k pronájmu reprezentativní komerční objekt o celkové užitné ploše 306 m², který se nachází v samotném centru Hradce Králové, v ulici Československé armády. Budova disponuje třemi nadzemními podlažími a nabízí kombinaci obchodních a kancelářských prostor vhodných pro sídlo společnosti, klientské centrum nebo kombinovaný administrativní a prodejní provoz. V přízemí se nachází nebytový prostor o výměře 47 m² s vlastní výlohou a vstupem přímo z ulice, který je ideální pro obchod, kontaktní místo nebo kancelář. Prostor je rozdělen na přední část vhodnou jako prodejní plocha či klientská zóna a zadní část využitelnou jako sklad nebo zázemí, k dispozici je sociální zařízení přístupné z chodby domu. Díky poloze na frekventované ulici nabízí výbornou viditelnost a dostupnost pro zákazníky. Ve 2. nadzemním podlaží se nachází kancelářské prostory o výměře 131 m², které tvoří čtyři samostatné kanceláře se společným zázemím – dámské a pánské toalety, kuchyňka a úklidová komora. Ve 3. nadzemním podlaží jsou umístěny další kancelářské prostory o výměře 128 m², které zahrnují tři kanceláře s vlastním zázemím včetně kuchyňky, toalet a komory. Kanceláře jsou nezařízené, vybavené kobercovou podlahovou krytinou, osvětlením, klimatizací a možností připojení k internetu. V každém patře je samostatné vytápění vlastním plynovým kotlem, což umožňuje efektivní regulaci provozních nákladů. Budova je velmi udržovaná, zděná a působí reprezentativním dojmem, vhodným pro firemní zázemí či sídlo společnosti. Objekt se nachází na prestižní adrese v centru města s výbornou dopravní dostupností a veškerou občanskou vybaveností v bezprostředním okolí. Pro více informací a sjednání prohlídky nás neváhejte kontaktovat.
Mám zájem| ID nemovitosti | N1469 |
| Celková plocha | 306 m2 |
| Užitná plocha | 306 m2 |
| Počet podlaží | 3 |
| Stav objektu | Velmi dobrý |
| Typ budovy | Cihlový |
| Vytápění | Ústřední-plynové |
| Parkovací místo | Ne |
| Garáž | Ne |
| Voda | Dálkový rozvod |
| Energetický štítek | G |
| Typ dohody | Výhradní |
| Typ objektu | Patrový |
| Dostupné | 2025-11-01 |